Service Overview
Discover how our drone technology delivers precise mapping, analysis, and inspections to optimize your agricultural and industrial operations.
Precision 2D/3D Modeling
Generate accurate topographic models that enable better planning and decision-making across projects.
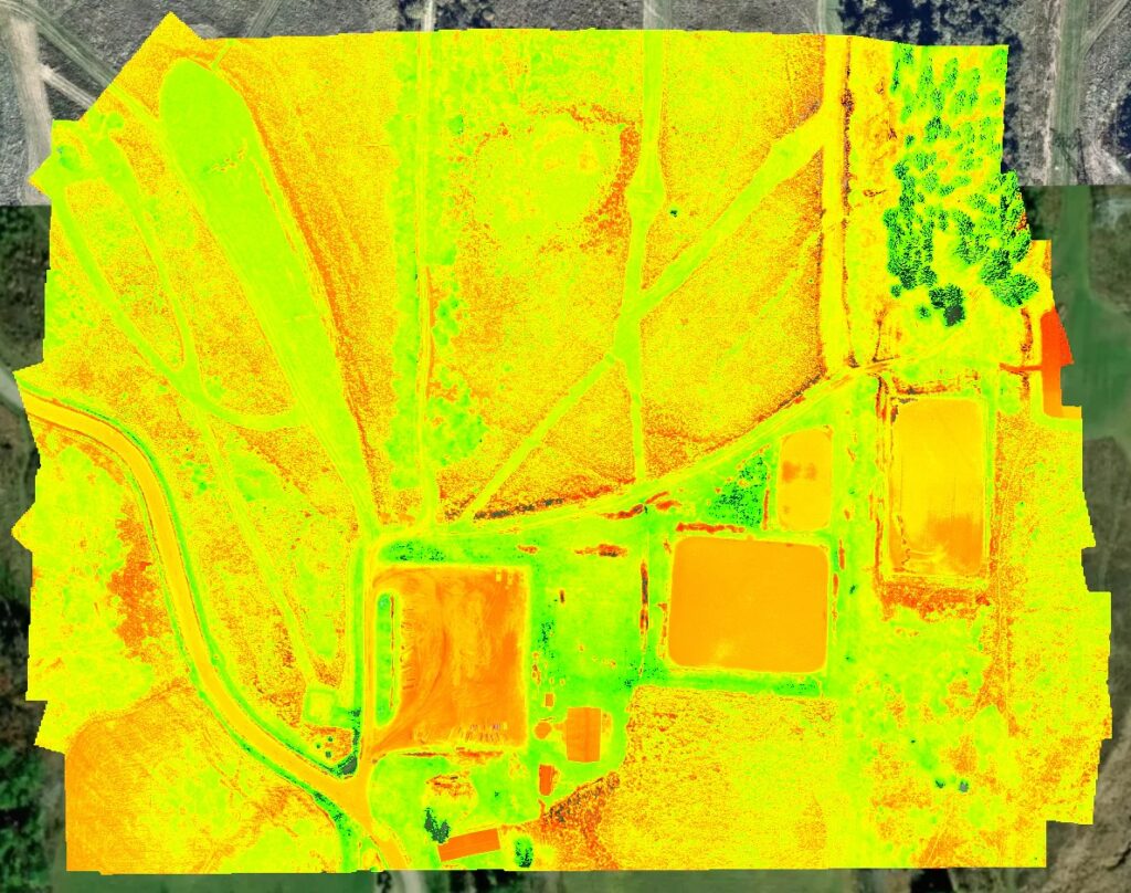
Advanced Multispectral Analysis
Utilize multispectral imaging to monitor crop health and detect issues invisible to the naked eye.

Enhance Project Accuracy with Precision Drone Mapping
Explore our core drone services tailored for your needs.
2D & 3D Modeling
Create detailed visual models for better planning and analysis.
Thermal Inspection
Identify heat variations to detect equipment or structural issues.

Agricultural Multispectral Analysis
Monitor crop health using advanced spectral imaging techniques.

Utility Inspection
Ensure infrastructure integrity through comprehensive aerial surveys.
Advanced Drone Solutions Tailored to Your Industry Needs

Precision 2D and 3D Modeling
Capture detailed aerial models that streamline planning and enhance project accuracy with cutting-edge drone technology.
Agricultural Multispectral Analysis
Utilize multispectral imaging to monitor crop health, optimize yields, and make data-driven farming decisions effortlessly.
Thermal and Utility Inspections
Identify issues early with thermal imaging and drone inspections to improve safety and reduce maintenance costs effectively.
